IMAGE

Fig. 4

ID
ZDB-IMAGE-090320-13
Source
Figures for Kemp et al., 2009
Image
Figure Caption

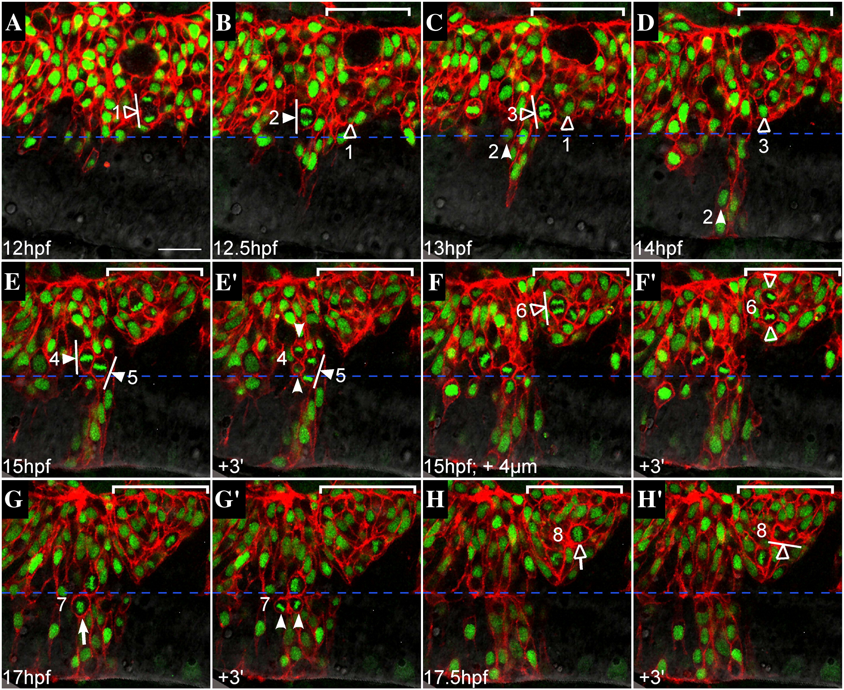
Fig. 4 Failure to generate bilateral clones is not due to a defect in oriented cell divisions. Representative confocal sections from a time-lapse of a mosaic embryo, dorsal views, anterior to the left. WT donor cells (expressing mRFP to visualize cell membranes, histone-GFP to visualize nuclei) were transplanted into an EphA4MO pGFP5.3 host embryo (expressing GFP in r3 and r5; not shown). Midline is indicated by horizontal dashed blue line. r5 is indicated by white bracket in upper right hand corner of most images. Cells entering mitosis (rounded up; condensed chromatin) are indicated by white (r4) or hollow (r5) arrows. Cells in mitosis are indicated by arrowheads ending in perpendicular lines that represent spindle orientation. Daughters of numbered divisions that are still in the plane of focus are indicated by arrowheads. (A) At the onset of neural keel stage (12 hpf), donor cells are evenly distributed up to the midline throughout the hindbrain. Because the transgene is not expressed in r5 at this early timepoint, r4 and r5 territories cannot be definitively assigned. However a cell that is unambiguously assigned in later timepoints to r5 has already entered anaphase and is positioned close to the midline (hollow arrowhead; division “1”). (B) At early neural keel (12.5 hpf), a WT donor cell in r4 divides with a medial nuclear position and transverse spindle orientation (white arrowhead; division “2”). The more medial daughter from division “1” is located in r5. (C) At 13 hpf a donor cell in r5 divides medially with transverse spindle orientation (hollow arrowhead; division “3”). Meanwhile, the more medial daughter of division “2” has begun to cross the midline (white arrowhead). The other daughter from division “2” remains on the transplanted side of the neuroepithelium throughout the timelapse (different plane of focus; data not shown). (D) By 14 hpf, one daughter from division “2” (white arrowhead) has completed midline crossing and is integrated into the contralateral side of the neuroepithelium, whereas the more medial daughter from division “3” (hollow arrowhead) remains on the original side of the neuroepithelium. Both daughters of division “3” were tracked for an additional 2 h and failed to cross the midline during this time (data not shown). (E) At 15 hpf, two WT donor cells in r4 with medially positioned nuclei are in metaphase with mitotic spindles orientated transverse to the midline (white arrowheads; divisions “4” and “5”). (E′) Within 3 min, a dividing cell from panel C has entered telophase (white arrowhead; division “5”) and another has completed cytokinesis, generating a more medial and more lateral daughter cell (white arrowheads; division “4”). (F) At the same timepoint as in panel E (15 hpf), but 4 μm deeper into the embryo, a laterally displaced WT donor cell in r5 (hollow arrowhead; division “6”) is shown at anaphase with a transverse spindle orientation (white line). (F′) Within 3 min, the dividing cell from panel F has completed cytokinesis, generating a more lateral and a more medial daughter cell (hollow arrowheads), neither of which crosses the midline during the course of the timelapse (data not shown). (G) WT donor cell in r4 at the neural tube stage (17 hpf) rounds up prior to division with medial nuclear position (white arrow; division “7”). (G′) Donor cell indicated in panel G has completed cytokinesis. Daughters of this division are born side by side, equidistant from the midline (white arrowheads). (H) Laterally displaced WT donor cell in r5 rounds up and has condensed chromatin prior to mitosis (hollow arrow; division “8”). (H′) Within 3 min, the dividing donor cell from panel H has entered telophase. Spindle orientation is planar, ie. parallel to the midline (white line). Scale bar: 25 μm.

Acknowledgments
This image is the copyrighted work of the attributed author or publisher, and ZFIN has permission only to display this image to its users. Additional permissions should be obtained from the applicable author or publisher of the image.

Reprinted from Developmental Biology, 327(2), Kemp, H.A., Cooke, J.E., and Moens, C.B., EphA4 and EfnB2a maintain rhombomere coherence by independently regulating intercalation of progenitor cells in the zebrafish neural keel, 313-326, Copyright (2009) with permission from Elsevier. Full text @ Dev. Biol.