IMAGE

Fig. S1

ID
ZDB-IMAGE-101104-50
Source
Figures for Hui et al., 2010
Image
Figure Caption

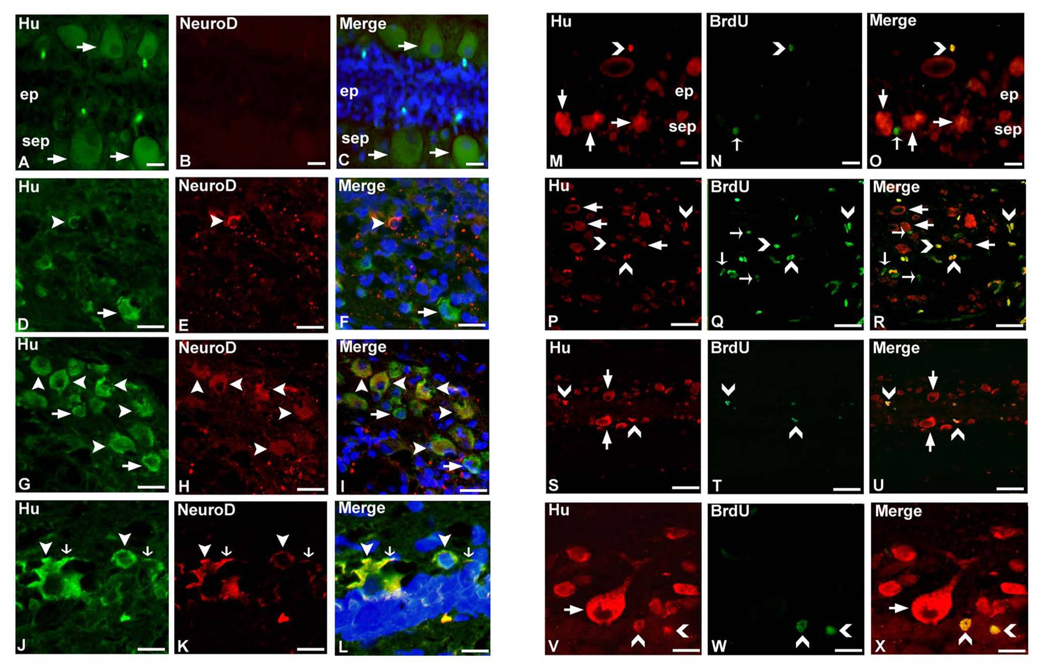
Fig. S1 Quantitative analysis of GFAP/BrdU/DAPI expressing cells in whole spinal cord (equivalent to 4 mm length) before and after giving injury. Supp. Fig. S2. Immunohistochemical colocalization of Hu/NeuroD (A-L) and Hu/BrdU (M-X) in zebrafish spinal cord. A-C: Adult uninjured spinal cord section shows many Hu+ cells (→) in subependyma (sep) but are NeuroD-. D-F: The injury epicenter of a 10dpi cord shows Hu+ cells (→) and some of them are colocalized with NeuroD (▼). G–I: Colocalization of Hu and NeuroD (▼) can be seen in the immediate adjacent part of the injury epicenter in the same day cord. J-L: The immediate adjacent part of the injury epicenter of 10dpi cord also shows Hu+/NeuroD+ cells (▼) with small projections (↓). M-O: Uninjured cord section shows many Hu+ cells (→) in subependyma (sep); very few of them are BrdU+ (). P–U: Injury epicenter (P–R) and adjacent normal part (S–U) of the 7dpi cord, both showing Hu+/BrdU- (→), Hu/BrdU+ () and Hu+/BrdU+ () cells. Note that Hu+/BrdU+ cells are small and round shaped and are newly formed neurons. V-X: Higher magnification picture of the immediate adjacent part of the injury epicenter in 7dpi cord showing similar morphological characteristics of Hu+/BrdU+ cells. Scale bar = 10 μm (A-C, M-O), 20 μm (D-I), 40 μm (P-U), 5 μm (J-L, V-X).

Acknowledgments
This image is the copyrighted work of the attributed author or publisher, and ZFIN has permission only to display this image to its users. Additional permissions should be obtained from the applicable author or publisher of the image. Full text @ Dev. Dyn.