IMAGE

Fig. 9

ID
ZDB-IMAGE-230502-27
Source
Figures for Lozano et al., 2023
Image
Figure Caption

Fig. 9

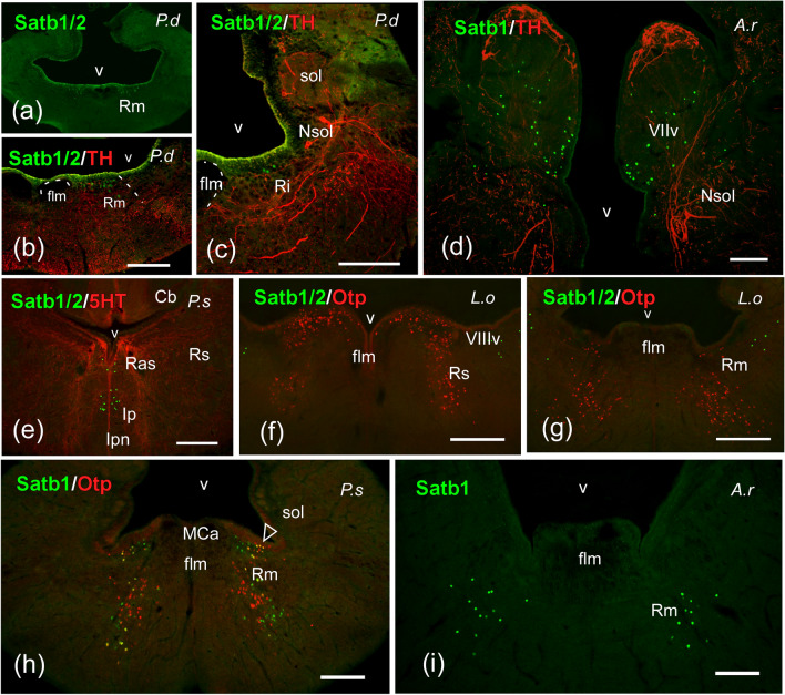
Photomicrographs of transverse single- and double-labeled sections through rhombencephalic areas of Protopterus dolloi (P.d), Acipenser ruthenus (A.r), Polypterus senegalus (P.s), and Lepisosteus oculatus (L.o) showing the location of SATB1/2 or SATB1 (green color) alone or in combination with TH, 5-HT or Otp (red color) immunoreactivity. The markers and the species are indicated in each image. ac SATB1/2-ir cells in the reticular formation of P. dolloi. d Population of SATB1-ir cells in the facial lobe and solitary tract nucleus of A. ruthenus. e SATB1/2-ir cells in the interpeduncular nucleus of P. senegalus. f, g Populations of SATB1/2-ir cells in the ventral octavolateral area (f) and the median reticular nucleus (g) of L. oculatus. h, i Reticular cells labeled with SATB1 in P. senegalus (h) and A. ruthenus (i); arrowheads in (h) point to double labeled cells. For abbreviations, see list. Scale bars = 200 µm (c), 100 µm (a, b, d, e), 50 µm (f)

Acknowledgments
This image is the copyrighted work of the attributed author or publisher, and ZFIN has permission only to display this image to its users. Additional permissions should be obtained from the applicable author or publisher of the image. Full text @ Brain Struct. Funct.