FIGURE

Fig. 6

ID
ZDB-FIG-170524-30
Publication
Ibarra et al., 2017 - Dynamic regulation of Pin1 expression and function during zebrafish development
Other Figures
All Figure Page
Back to All Figure Page
Fig. 6

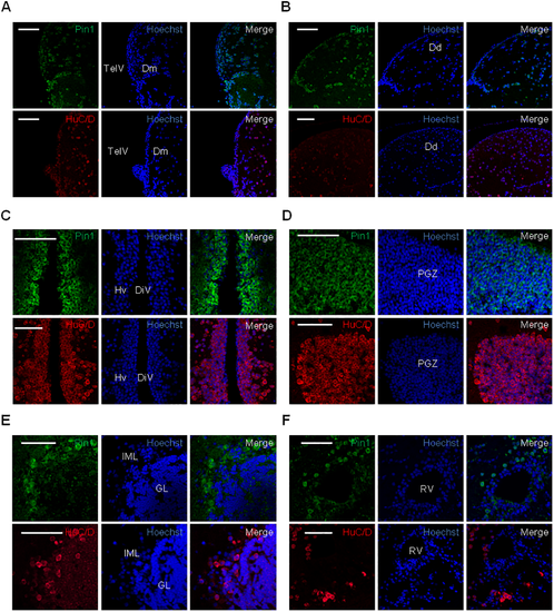
Analysis of Pin1 expression in the adult zebrafish brain.

Immunofluorescence analysis on brain coronal sections using Pin1 (green) or HuC/D (red) as primary antibodies. (A) and (B) dorsal telencephalon, (C) ventral diencephalon, (D) optic tectum, (E) corpus cerebelli, (F) romboencephalic ventricular zone. DiV: diencephalic ventricle, Dd: lateral zone of dorsal telencephalon, Dm: medial zone of dorsal telencephalon, GL: cerebellar granular layer, Hv: ventral zone of periventricular hypothalamus, IML: cerebellar intermediate layer, PGZ: periventricular gray zone of the optic tectum, RV: romboencephalic ventricle, TelV: telencephalic ventricle. Scale bar = 50 μm.

Expression Data
Gene:
Fish:
Anatomical Terms:
Stage: Adult

Expression Detail
Antibody Labeling
Phenotype Data

Phenotype Detail
Acknowledgments
This image is the copyrighted work of the attributed author or publisher, and ZFIN has permission only to display this image to its users. Additional permissions should be obtained from the applicable author or publisher of the image. Full text @ PLoS One