FIGURE SUMMARY
Title

Loss-of-function of p53 isoform Δ113p53 accelerates brain aging in zebrafish

Authors
Zhao, T., Ye, S., Tang, Z., Guo, L., Ma, Z., Zhang, Y., Yang, C., Peng, J., Chen, J.
Source
Full text @ Cell Death Dis.

Most of <italic>Δ113p53</italic> expresses in the radial glial cells and a small part in RMS cells along the telencephalon ventricular zone.

A Top panel: a schematic diagram representing zebrafish brain structure. The dotted lines with different numbers represent different positions in the zebrafish telencephalon along the anterior to the posterior axis. Gray color: olfactory bulb; green color: telencephalon; purple color: midbrain; red color: hindbrain. Bottom panel: diagram representing the cross-section of telencephalon corresponding to the position as indicated by the dotted line 2 in the top panel. TV telencephalic ventricle, D dorsal telencephalic area, V ventral telencephalic area, Vd dorsal nucleus of V, Vv ventral nucleus of V, RMS rostral migratory stream. The photos in the following panels were representatives of the cross-sections corresponding to the region shown in the diagram. The representatives of other regions were presented in Supplementary Fig. S1. B Cryosections of Tg(Δ113p53:GFP) telencephalon were immunostained by anti-GFP (in green) (B’) and anti-p53 (in red) antibodies (B”). The nuclei were stained with DAPI (in blue). Arrowhead: p53+/GFP cells; yellow arrow: p53-/GFP+ cells; white arrow: p53+/GFP+ cells. Scale bar, 10 μm. C Cryosections of Tg(Δ113p53:GFP) telencephalon were immunostained by anti-GFP (in green) and anti-GFAP (in red) antibodies. The nuclei were stained with DAPI (in blue). The framed area in C was magnified in C’ (merged), C” (GFP), and C”’ (GFAP). Scale bar in C, 50 μm; Scale bar in C’, C”, C”’, 10 μm. D Cryosections of Tg(Δ113p53:GFP;olig2:dsRed) telencephalon were immunostained by anti-GFP (in green), and the red fluorescence was from the en vivo DsRed. The nuclei were stained with DAPI (in blue). The framed area in D was magnified in D’ (merged), D” (GFP), and D”’ (DsRed). White arrows: GFP+/DsRed+ cells. Scale bar in D, 50 μm; scale bar in D’, D”, D”’, 10 μm. E, F Cryosections of Tg(Δ113p53:GFP);p53+/+ telencephalon (E, E’) and Tg(Δ113p53:GFP);p53M214K/ M214K telencephalon (F, F’) were immunostained by anti-GFP (in green) and anti-GFAP (in red) antibodies. The nuclei were stained with DAPI (in blue). Scale bar, 10 μm.

<italic>Δ113p53</italic>-positive radial glia cells undergo cell proliferation and contribute to the neuron renewal process.

A Cryosections of EDU-labeled Tg(Δ113p53:GFP) telencephalon were immunostained by anti-GFP (in green), anti-GFAP (in red), labeled-EDU in white, and nuclei with DAPI (in blue). The framed area in A was magnified in A’, anti-GFP in A”, labeled-EDU in A”’ and anti-GFAP in A””. White arrow: GFP+/GFAP+/EDU+ cells. Yellow arrows: GFP+/GFAP+ cells; white arrowhead: EDU+/GFAP+ cells. Scale bar in A, 50 μm; Scale bar in A’, A”, A”’, A””, 10 μm. B Cryosections of Tg(Δ113p53:GFP) larva brain at 5 dpf were immunostained by anti-GFP (in green) (B’) and anti-GFAP (in red) (B”) antibodies. Scale bar, 10 μm. CFΔ113p53-positive cells in Tg(Δ113p53:CreER;β-act2:RSG) transgenic fish were genetically labeled at 5 dpf or at the adult stage by inducing Cre activity with 4-HT. The labeled larvae grew up to 6-months old and were subjected to immunostaining analysis (C), whereas the labeled adult fish were sampled at either 7 (D) or 23 dpt (E). Cryosections of labeled Tg(Δ113p53:CreER;β-act2:RSG) telencephalon were immunostained by anti-GFP (in green), anti-GFAP (in red) antibodies in C. In D and E, the red fluorescence was from the expression of en vivo DsRed. The nuclei were stained with DAPI (blue). The framed area in C was magnified in C’ (merged), C” (GFP), and C”’ (GFAP). Framed areas in D and E were magnified in D’ and E’, respectively. Scale bar in C, D, E, 50 μm; Scale bar in C’, C”, C”’, 20 μm; Scale bar in E’, F’, 10 μm. The average number of GFP+ radial glia cells per 100 μm along the ventricle zone of Tg(Δ113p53:CreER; β-act2:RSG) telencephalon at 7 and 23 dpt was represented in F. Each dot represents the average number of GFP+ radial glia cells per 100 μm of the ventricular zone (VZ) in one section. The middle region of each telencephalon (about three to six sections) was used for the counting and three telencephalons were sampled in each group. Statistical analysis was performed on relevant data using the Student’s two-tailed t test. ***P < 0.001.

Depletion of <italic>Δ113p53</italic> results in an elevated level of intracellular H<sub>2</sub>O<sub>2</sub> in zebrafish telencephalons.

AC Relative mRNA expression of aldh4a1, gpx1a, sesn1, sod2 at 3- (A), 6- (B), and 10-months old (C) in the Δ113p53+/+ or Δ113p53M/M telencephalons. The total RNA was extracted from a pool of at least six telencephalons in each group. The average gene expression was normalized against β-actin and expressed as fold change. D The relative concentration of H2O2 in the Δ113p53+/+ and Δ113p53M/M telencephalons at 3-, 6-, and 13-months old as indicated. Each group was measured based on a pool of at least four telencephalons. Statistical analysis was performed on relevant data using the Student’s two-tailed t test. *P < 0.05, **P < 0.01, ***P < 0.001.

EXPRESSION / LABELING:
Genes:
Fish:
Anatomical Term:
Stage: Adult
PHENOTYPE:
Fish:
Observed In:
Stage: Adult

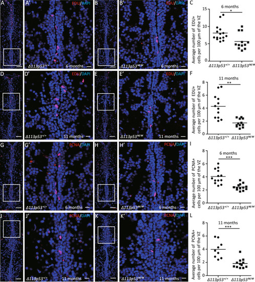
<italic>Δ113p53</italic> promotes cell proliferation in the ventricular zone of the telencephalon.

AF The Δ113p53+/+ (A, D) and Δ113p53M/M (B, E) zebrafish telencephalons were labeled with EDU in red at 6- and 11-months old, as indicated. GL Cryosections of Δ113p53+/+ (G, J) and Δ113p53M/M (H, K) zebrafish telencephalons were immunostained by anti-PCNA (in red) at 6- and 11-months old, as indicated. The nuclei were stained with DAPI (in blue). An average number of EDU+ cells or PCNA+ cells per 100 μm of the ventricular zone (VZ) in one section from the middle region of each telencephalon was presented in C (6-months old) and F (11-months old) or I (6-months old) and L (11-months old), respectively. Framed areas in A, B, D, E, G, H, J, K were magnified in A’, B’, D’, E’, G’, H’, J’, K’, respectively. Scale bar in A, B, D, E, G, H, J, K, 50 μm; scale bar in A’, B’, D’, E’, G’, H’, J’, K’, 10 μm. Each dot represents the average number of EDU+ cells or PCNA+ cells per 100 μm of VZ in one section. About three to five sections were chosen from the middle region of each telencephalon and at least three telencephalons were sampled in each group. Statistical analysis was performed on relevant data using the Student’s two-tailed t test. *P < 0.05, **P < 0.01, ***P < 0.001.

<italic>Δ113p53</italic><sup><italic>M/M</italic></sup> zebrafish telencephalon has increased levels of cell senescence markers.

AE Relative expression of p21(A), cmyc, sirt1, e2f1 mRNAs (D, E), and miR-34a, miR-34b, miR-34c miRNAs (B, C) at different ages in the Δ113p53+/+ and Δ113p53M/M telencephalons, as indicated. The total RNA was extracted from a pool of at least six telencephalons in each group. The average gene expression of mRNAs and miRNAs was normalized against β-actin and U6, respectively. FK Senescence-associated β-galactosidase (SA-β-gal) staining in the telencephalons of Δ113p53+/+ (F, I) and Δ113p53M/M zebrafish (G, J) at 6.5- and 9-months old as indicated. Scale bar, 100 μm. The average SA-β-gal signal was quantified with Photoshop and presented as the percentage of pixels per unit area of the section measured in the telencephalon (H, K). Each dot represents the average SA-β-gal signal in each section. About three to five sections were taken from the middle region of each telencephalon, and at least four telencephalons were sampled in each group. Statistical analysis was performed on relevant data using the Student’s two-tailed t test. N.S., P > 0.05, *P < 0.05, **P < 0.01, ***P < 0.001.

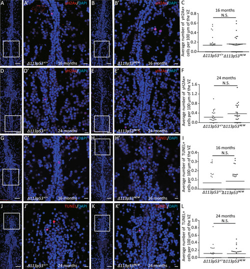
Depletion of Δ113p53 has little effect on DNA damage response and apoptotic activity in zebrafish telencephalons.

AF Cryosections of Δ113p53+/+ (A, D) and Δ113p53M/M telencephalons (B, E) at 16- or 24-months old were stained with an anti-γ-H2AX (in red) antibody. GL TUNEL assay (in red) was performed on cryosections of Δ113p53+/+ (G, J) and Δ113p53M/M zebrafish telencephalons (H, K) at 16- and 24-months old, as indicated. The nuclei were stained with DAPI (in blue). An average number of γ-H2AX + cells or apoptotic cells per 100 μm of the ventricular zone (VZ) in one section from the middle region of each telencephalon was presented in C (16-months old) and F (24-months old) or I (16-months old) and L (24-months old), respectively. Framed areas in A, B, D, E, G, H, J, K were magnified in A’, B’, D’, E’, G’, H’, J’, K’, respectively. Scale bar in A, B, D, E, G, H, J, K, 50 μm; Scale bar in A’, B’, D’, E’, G’, H’, J’, K’, 10 μm. Each dot represents the average number of γ-H2AX + cells or apoptotic cells per 100 μm of VZ in one section. About four to five sections were chosen from the middle region of each telencephalon, and at least five telencephalons were sampled in each group. Statistical analysis was performed on relevant data using the Student’s two-tailed t test. N.S., P > 0.05.

EXPRESSION / LABELING:
Antibody:
Fish:
Anatomical Term:
Stage: Adult

Loss-of-function of <italic>Δ113p53</italic> impairs learning and memory capacity with aging.

A The schematic of the CPA paradigm. Stage I: Adaptation period in the tank covered with white color (5 min/day for 3 days); Stage II: Baseline period in the test tank covered by one side with red color and the other with white color (5 min/day for 6 days without electric shock); Stage III: Conditioning period in the test tank (5 min/day for 7 days after electric shock from white color). In stage II, zebrafish behavior was recorded for the Baseline period. In stage III, a mild electric shock for one min (twice/day in 1-h interval) was delivered each time the fish entered the white zone. Zebrafish behavior was recorded 1 day after the treatment for the conditioning period. After recording, the fish was treated again and the assay was repeated for 7 days. B–G Statistical analysis of CPA assays on Δ113p53+/+ and Δ113p53M/M zebrafish at 5- or 19-months old. The paired t test was applied for the comparison of the time spent in the white color out of 300 s (=5 min) recorded between baseline and conditional periods within the same genotype either Δ113p53+/+ (B, E) or Δ113p53M/M (C, F). Each dot represents the time for individual fish spending in the white zone. Two-way ANOVA analysis was performed to analyze the differences of the average time spent in the white color at each time point between two genotypes of Δ113p53+/+ and Δ113p53M/M at 5- (D) or 19- (G) months old. BL Baseline period. In each group, eight zebrafish were used. Within-group comparison: paired t test. Between-group comparison: two-way ANOVA test. The P values were represented by N.S. and asterisks. N.S., P > 0.05, *P < 0.05, **P < 0.01.

PHENOTYPE:
Fish:
Observed In:
Stage: Adult
Acknowledgments
This image is the copyrighted work of the attributed author or publisher, and ZFIN has permission only to display this image to its users. Additional permissions should be obtained from the applicable author or publisher of the image. Full text @ Cell Death Dis.