FIGURE

Fig. 3

ID
ZDB-FIG-140617-16
Publication
Flasse et al., 2013 - Ascl1b and Neurod1, instead of Neurog3, control pancreatic endocrine cell fate in zebrafish
Other Figures
All Figure Page
Back to All Figure Page
Fig. 3

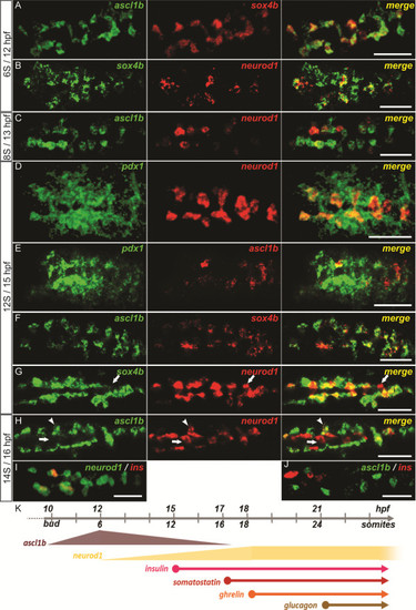
ascl1b and neurod1 are both expressed in pancreatic endocrine precursors. (A-J) Double fluorescent WISH comparing the expression of ascl1b and neurod1 with the expression of the pancreatic factor sox4b(A, B, F, G), pdx1(D, E) or with the insulin hormone (I, J) at early stages (12 to 16 hpf). The arrows point to a cell neurod1+/sox4b- (G) or neurod1+/ascl1b- (H). The arrowheads point to a cell neurod1+/ascl1b+(H). Z-plane confocal images. All views are ventral with anterior part to the left. (K) Diagram illustrating the time windows for the expression of ascl1b, neurod1 and the pancreatic hormones. Scale bars : 50 µm hpf, hours post fertilization; WISH, whole-mount in situ hybridization.

Expression Data
Genes:
Antibody:
Fish:
Anatomical Terms:
Stage Range: 5-9 somites to 14-19 somites

Expression Detail
Antibody Labeling
Phenotype Data

Phenotype Detail
Acknowledgments
This image is the copyrighted work of the attributed author or publisher, and ZFIN has permission only to display this image to its users. Additional permissions should be obtained from the applicable author or publisher of the image. Full text @ BMC Biol.