IMAGE
Fig. 3
Image
Figure Caption
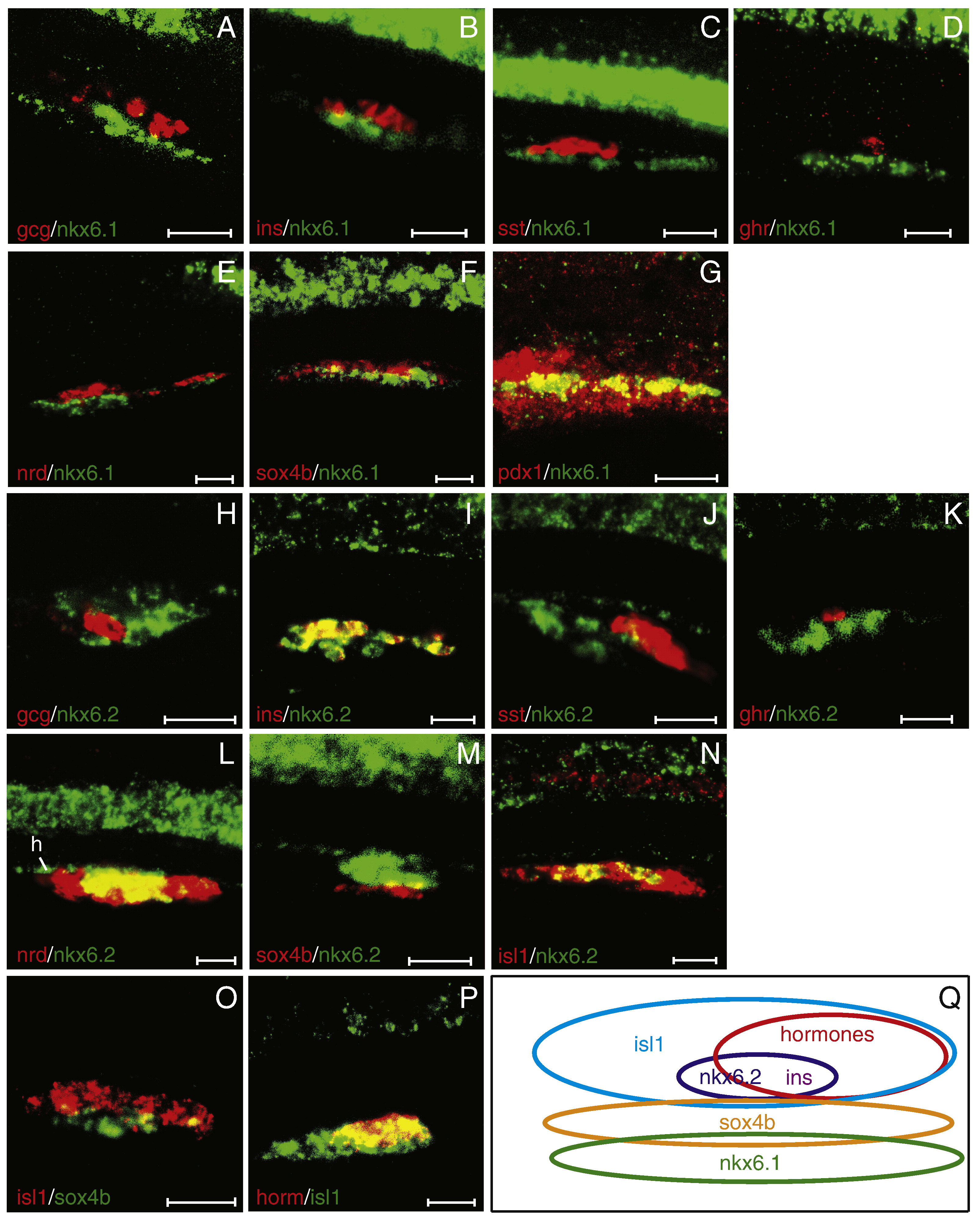
Fig. 3 nkx6.1 and nkx6.2 pancreatic expression at 24 hpf. A–P: Double fluorescent WISHs showing expression at 24 hpf of nkx6.1 and glucagon (gcg) (A), insulin (ins) (B), somatostatin (sst) (C), ghrelin (ghr) (D), neuroD (E), sox4b (F) or pdx1 (G), of nkx6.2 and glucagon (H), insulin (I), somatostatin (J), ghrelin (K), neuroD (L), sox4b (M) or isl1 (N) and of isl1 and sox4b (O) or all the pancreatic hormone genes (P). Z-plane confocal images. Scale: 20 μm. Q: Schematic representation of pancreatic organization at 24 hpf. All views are lateral with anterior part to the left. h: hypochord.
Figure Data
Acknowledgments
This image is the copyrighted work of the attributed author or publisher, and
ZFIN has permission only to display this image to its users.
Additional permissions should be obtained from the applicable author or publisher of the image.
Reprinted from Developmental Biology, 340(2), Binot, A.C., Manfroid, I., Flasse, L., Winandy, M., Motte, P., Martial, J.A., Peers, B., and Voz, M.L., Nkx6.1 and nkx6.2 regulate alpha- and beta-cell formation in zebrafish by acting on pancreatic endocrine progenitor cells, 397-407, Copyright (2010) with permission from Elsevier. Full text @ Dev. Biol.